Leave a Message

Thank you for your message. We will be in touch with you shortly.

Explore Our Properties

Property Description

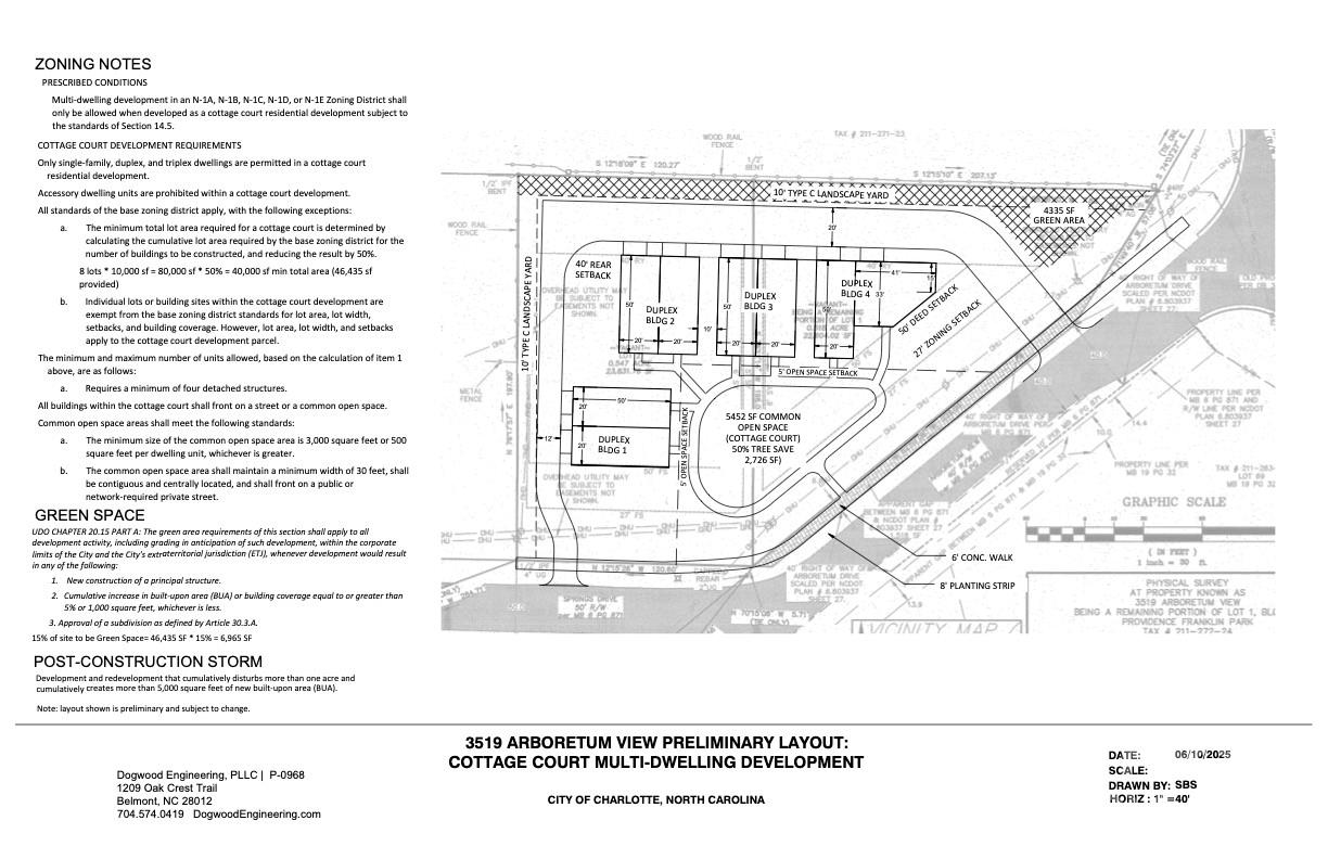
This undeveloped 1.2 acre property is located directly across from The Arboretum on Pineville-Matthews Road, offering a rare investment opportunity consisting of two prime lots sold as a single acquisition. The site is characterized by mature trees and its proximity to an established neighborhood, balancing a quiet setting with immediate access to major retail, dining, and transportation corridors leading to Uptown Charlotte.

The seller commissioned Tim Finein of Peadon Finein and Sarah Stewart of Dogwood Engineering to conduct a proposed site plan for the combined parcels. Based on City of Charlotte setback requirements and design standards, it has been determined that the site can potentially accommodate 8 townhomes using a Cottage Court design layout. Initial meetings with City of Charlotte staff regarding this specific density and site use have resulted in positive feedback. This listing represents a high potential development opportunity in a core Charlotte location with preliminary due diligence already in place.

Overview

Property Status
Active Under Contract
Lot Size
1.11 Acres
MLS ID
4203485
Property Type
Land

Features & Amenities

Neighborhood
Wessex Square
Water Source
City, Tap Fee Required
Sewer
Public Sewer, Tap Fee Required
Elementary School
Olde Providence
Middle School
Carmel
High School
Providence
Sales Price
$1,180,000
Zoning
N1-A

Downloads

3519 Arboretum View

Schedule a Tour

We would love to help you see this beautiful home! As full-service real estate agents, we can help you tour. Please submit an offer, and answer questions about the buying process.

Thank you

for your interest in 3519 Arboretum View, Charlotte, NC 28226

3519 Arboretum View
Navigate

-

Wessex Square

Explore Wessex Square

Wessex Square is a well-established South Charlotte neighborhood known for its mature trees.

read more
3519 Arboretum View
explore in 3d
  • Spanning a generous 1.1 acres, these combined lots provide many possibilities for a stunning investment project.

    Jonathan Winn

Mortgage Calculator

Estimate your monthly mortgage payment, including the principal and interest, property taxes, and HOA. Adjust the values to generate a more accurate rate.
$0,000 Your Payment 20 15 65
$0,000 Your Payment

I'm Interested In

3519 Arboretum View

or
  • CallJonathan Winn

    License #NC: 340819 SC: 129673

    (704) 387-5455
  • Browse Our Listings

    • 2200 Mecklenburg Avenue Sold

      $1,650,000

      2200 Mecklenburg Avenue, Charlotte, NC 28205

      • 3 Beds
      • 3 Baths
      • 3,208 Sq.Ft.
    • 2680 Claxton Drive Sold

      $1,315,000

      2680 Claxton Drive, Rock Hill, SC 29732

      • 6 Beds
      • 5 Baths
      • 4,360 Sq.Ft.
    • 3519 Arboretum View Active Under Contract

      $1,180,000

      3519 Arboretum View, Charlotte, NC 28226

    • 14238 Morningate Street Sold

      $1,010,000

      14238 Morningate Street, Huntersville, NC 28078

      • 6 Beds
      • 6 Baths
      • 4,837 Sq.Ft.
    • 1496 Porch Wisdom Court Sold

      $875,000

      1496 Porch Wisdom Court, Fort Mill, SC 29708

      • 4 Beds
      • 4 Baths
      • 3,586 Sq.Ft.
    • 523 Sunnyview Lane Sold

      $719,000

      523 Sunnyview Lane, Fort Mill, SC 29715

      • 3 Beds
      • 3 Baths
      • 2,943 Sq.Ft.
    • 227 Glenville Drive Sold

      $682,500

      227 Glenville Drive, Fort Mill, SC 29715

      • 3 Beds
      • 4 Baths
      • 2,979 Sq.Ft.
    • 1034 Paddlers Way Sold

      $629,342

      1034 Paddlers Way, Belmont, NC 28012

      • 2 Beds
      • 2 Baths
      • 1,969 Sq.Ft.
    • 8112 Penman Springs Drive Sold

      $580,000

      8112 Penman Springs Drive, Waxhaw, NC 28173

      • 4 Beds
      • 3 Baths
      • 2,614 Sq.Ft.
    • 2734 Dunlavin Way Sold

      $565,000

      2734 Dunlavin Way, Charlotte, NC 28205

      • 3 Beds
      • 2 Baths
      • 1,838 Sq.Ft.
    • 224 Parkwood Avenue Sold

      $560,000

      224 Parkwood Avenue, Charlotte, NC 28206

      • 3 Beds
      • 4 Baths
      • 1,891 Sq.Ft.
    • 5267 Norway Lane Sold

      $555,000

      5267 Norway Lane, Rock Hill, SC 29732

      • 5 Beds
      • 3 Baths
      • 3,021 Sq.Ft.
    • 242 Squirrel Lane Sold

      $543,000

      242 Squirrel Lane, Clover, SC 29710

      • 3 Beds
      • 2 Baths
      • 2,168 Sq.Ft.
    • 12705 Twilight Drive Sold

      $540,000

      12705 Twilight Drive, Mint Hill, NC 28227

      • 3 Beds
      • 3 Baths
      • 2,179 Sq.Ft.
    • 1054 Sora Ln Sold

      $535,000

      1054 Sora Lane, Fort Mill, SC 29715

      • 4 Beds
      • 3 Baths
      • 2,761 Sq.Ft.
    • 9807 Hannon Road Sold

      $515,000

      9807 Hannon Road, Mint Hill, NC 28227

      • 4 Beds
      • 3 Baths
      • 3,370 Sq.Ft.
    • 186 Lake Commons Drive Sold

      $492,000

      186 Lake Commons Drive, Rock Hill, SC 29732

      • 3 Beds
      • 3 Baths
      • 2,360 Sq.Ft.
    • 1968 High Pines Road Sold

      $485,000

      1968 High Pines Road, Rock Hill, SC 29732

      • 3 Beds
      • 3 Baths
      • 2,215 Sq.Ft.
    • 3715 Castlerock Drive Sold

      $453,000

      3715 Castlerock Drive, Charlotte, NC 28215

      • 3 Beds
      • 2 Baths
      • 1,349 Sq.Ft.
    • 466 Hickory View Drive Sold

      $445,000

      466 Hickory View Drive, Rock Hill, SC 29732

      • 3 Beds
      • 2 Baths
      • 2,048 Sq.Ft.
    • 133 Pine Eagle Drive Sold

      $425,000

      133 Pine Eagle Drive, Rock Hill, SC 29732

      • 3 Beds
      • 3 Baths
      • 2,040 Sq.Ft.
    • 1904 Steeplechase Drive Sold

      $424,500

      1904 Steeplechase Drive, Rock Hill, SC 29732

      • 4 Beds
      • 3 Baths
      • 2,525 Sq.Ft.
    • 538 Birch Hawk Drive Sold

      $406,000

      538 Birch Hawk Drive, Rock Hill, SC 29732

      • 4 Beds
      • 4 Baths
      • 2,362 Sq.Ft.
    • 155 Rimrock Road Sold

      $405,000

      155 Rimrock Road, Harmony, NC 28634

      • 3 Beds
      • 3 Baths
      • 2,208 Sq.Ft.
    • 1660 Beleek Ridge Lane Sold

      $405,000

      1660 Beleek Ridge Lane, Lake Wylie, SC 29710

      • 4 Beds
      • 3 Baths
      • 2,039 Sq.Ft.
    • 3551 Homestead Road Sold

      $402,000

      3551 Homestead Road, Rock Hill, SC 29732

      • 3 Beds
      • 2 Baths
      • 1,629 Sq.Ft.
    • 13831 Queenswater Lane Sold

      $385,000

      13831 Queenswater Lane, Charlotte, NC 28273

      • 3 Beds
      • 3 Baths
      • 1,757 Sq.Ft.
    • 1325 Red Oaks Drive Sold

      $380,000

      1325 Red Oaks Drive, Rock Hill, SC 29730

      • 3 Beds
      • 2 Baths
      • 1,629 Sq.Ft.
    • 1207 Yorkdale Drive Sold

      $365,500

      1207 Yorkdale Drive, Charlotte, NC 28217

      • 3 Beds
      • 2 Baths
      • 1,522 Sq.Ft.
    • 1526 Wembley Drive Sold

      $365,000

      1526 Wembley Drive, Charlotte, NC 28205

      • 2 Beds
      • 3 Baths
      • 1,165 Sq.Ft.
    • 2203 Oakhurst Court Sold

      $365,000

      2203 Oakhurst Court, Kannapolis, NC 28081

      • 3 Beds
      • 2 Baths
      • 1,786 Sq.Ft.
    • 8308 Kerrybrook Circle Sold

      $360,000

      8308 Kerrybrook Circle, Charlotte, NC 28214

      • 3 Beds
      • 2 Baths
      • 1,943 Sq.Ft.
    • 129 Pratt Street Sold

      $350,000

      129 Pratt Street, Belmont, NC 28012

      • 3 Beds
      • 2 Baths
      • 1,227 Sq.Ft.
    • 1840 Bethlehem Road Sold

      $350,000

      1840 Bethlehem Road, Kings Mountain, NC 28086

      • 2 Beds
      • 2 Baths
      • 1,587 Sq.Ft.
    • 216 Sylvania Avenue Sold

      $345,000

      216 Sylvania Avenue, Charlotte, NC 28206

      • 2 Beds
      • 1 Bath
      • 1,057 Sq.Ft.
    • 3513 Deer Track Lane Sold

      $341,000

      3513 Deer Track Lane, Monroe, NC 28110

      • 3 Beds
      • 2 Baths
      • 1,552 Sq.Ft.
    • 2555 Joyce Street Sold

      $330,000

      2555 Joyce Street, Kannapolis, NC 28083

      • 3 Beds
      • 2 Baths
      • 1,485 Sq.Ft.
    • 1776 Colony Road Sold

      $326,500

      1776 Colony Road, Rock Hill, SC 29730

      • 3 Beds
      • 2 Baths
      • 1,735 Sq.Ft.
    • 6605 Redbridge Trail Sold

      $325,000

      6605 Redbridge Trail, Charlotte, NC 28269

      • 3 Beds
      • 3 Baths
      • 1,445 Sq.Ft.
    • 690 Mile Creek Road Unit: 8 Sold

      $323,999

      690 Mile Creek Road Unit: 8, Edgemoor, SC 29712

      • 4 Beds
      • 3 Baths
      • 2,141 Sq.Ft.
    • 1711 Club Road Sold

      $295,000

      1711 Club Road, Charlotte, NC 28205

      • 1 Bed
      • 1 Bath
      • 681 Sq.Ft.
    • 1425 Wildwood Drive Sold

      $290,000

      1425 Wildwood Drive, Kannapolis, NC 28081

      • 3 Beds
      • 3 Baths
      • 1,290 Sq.Ft.
    • 8218 Legare Court Sold

      $286,500

      8218 Legare Court, Charlotte, NC 28210

      • 2 Beds
      • 3 Baths
      • 1,303 Sq.Ft.
    • 1613 Herrin Avenue Sold

      $285,000

      1613 Herrin Avenue, Charlotte, NC 28205

      • 2 Beds
      • 1 Bath
      • 800 Sq.Ft.
    • 1706 Herrin Avenue Sold

      $275,000

      1706 Herrin Avenue, Charlotte, NC 28205

      • 2 Beds
      • 1 Bath
      • 784 Sq.Ft.
    • 129 Sharon Road Sold

      $255,000

      129 Sharon Road, York, SC 29745

      • 3 Beds
      • 3 Baths
      • 1,278 Sq.Ft.
    • 2122 Hope Drive Sold

      $255,000

      2122 Hope Drive, Rock Hill, SC 29730

      • 3 Beds
      • 1 Bath
      • 960 Sq.Ft.
    • 24593 Blue Heron Circle Sold

      $254,000

      24593 Blue Heron Circle, Lancaster, SC 29720

      • 3 Beds
      • 2 Baths
      • 1,235 Sq.Ft.
    • 218 Morgan Street Sold

      $250,000

      218 Morgan Street, Rock Hill, SC 29730

      • 2 Beds
      • 2 Baths
      • 1,184 Sq.Ft.
    • 4901 Smokehollow Road Sold

      $240,000

      4901 Smokehollow Road, Charlotte, NC 28227

      • 2 Beds
      • 1 Bath
      • 976 Sq.Ft.
    View All

    Follow Us On Instagram